平成26年12月10日 14時09分 更新
次回更新予定日:
物件詳細情報
気になるテナントは、お気軽にお問合わせ下さい!
お急ぎの場合は、お電話で!
◆ 042-689-6513 ◆
サンホーム
トップページへ
閉じる
物件番号
948
交通
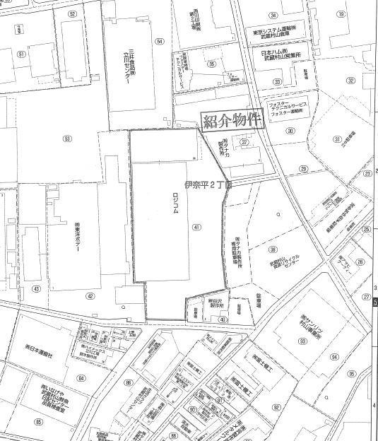
住所1
武蔵村山市伊奈平2−41
物件名
LOGPORT105
階/階建
5階/5階建
タイプ
賃料
¥1,296,540
管理費
¥88,200
礼金
1ヶ月
保証金
3ヶ月
敷金
0ヶ月
償却
0ヶ月
諸費用
西暦築年月
1988/00
建物構造
鉄骨造
面積m
2
970.2m
2
現況
空室
更新
更新料
契約期間
引渡時期
即時
駐車場在否
駐車場料金
取引態様
一般
仲介手数料
1ヶ月
特色
Webコメント
新青梅街道・五日市街道至近の大型貸し倉庫!分割可!
詳細
掲載されている物件データが現況と異なる場合は現況を優先します
■カテゴリから検索■
貸し倉庫
|
201u以上
|
賃料51万円以上